
« Le Brésil illustré », l’héritage postcolonial de Jean-Baptiste Debret
11 septembre 2025
Quand le Portugal met le cap sur Paris-Vincennes
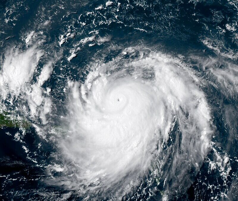
11 septembre 2025Dans la nuit du 10 au 11 août 2025, l’île de São Vicente, au Cabo Verde, a été violemment frappée par l’ouragan Erin. Cet événement climatique d’une intensité exceptionnelle a provoqué des pluies diluviennes, des rafales de vent extrêmes et des inondations soudaines qui ont ravagé de nombreux quartiers. En l’espace de quelques heures, des habitations ont été emportées, des routes coupées, des infrastructures essentielles endommagées. Plusieurs zones restent toujours difficilement accessibles, compliquant les opérations de secours.
Le bilan humain et matériel est lourd. De nombreuses familles ont tout perdu : leur maison, leurs biens, leurs moyens de subsistance. Les réseaux d’eau potable et d’électricité ont été sérieusement touchés, aggravant encore la situation. L’île, qui connaissait déjà des fragilités économiques et sociales, se retrouve confrontée à une urgence humanitaire de grande ampleur.
En réponse, le Gouvernement de la République du Cabo Verde a décrété l’état de catastrophe naturelle sur l’ensemble de l’île. Deux jours de deuil national ont également été proclamés en hommage aux victimes et en soutien à leurs proches. Mais au-delà de l’émotion, c’est un appel à l’action qui s’impose.
Face à cette crise, la solidarité de la diaspora capverdienne et de ses amis est plus que jamais essentielle. L’association Crianças de Hoje e de Amanhã, en coordination avec la Fédération des Associations Capverdiennes de France, a décidé de se mobiliser en lançant une campagne officielle de dons. Cette initiative vise à soutenir les associations locales qui, sur le terrain, évaluent les besoins et organisent les aides d’urgence : nourriture, eau potable, abris provisoires, vêtements, médicaments, soutien psychologique, réhabilitation des logements et des infrastructures.
La campagne sera entièrement sécurisée, transparente et suivie, afin de garantir que les fonds collectés soient utilisés de manière efficace et équitable. Un système de suivi des dons sera mis en place en partenariat avec les acteurs locaux, pour assurer une redistribution rapide et ciblée.
Cette mobilisation collective s’adresse à tous : particuliers, entreprises, collectivités, amis du Cabo Verde. Chaque contribution compte, qu’elle soit financière ou matérielle. C’est par la multiplication des gestes de solidarité que nous pourrons aider les familles sinistrées à faire face à l’urgence, puis à reconstruire leur vie avec dignité.
Dans les jours à venir, des informations concrètes sur les modalités de don (liens sécurisés, coordonnées bancaires, relais associatifs) seront diffusées sur les sites et réseaux sociaux des organisations impliquées. En attendant, chacun peut participer à l’élan en partageant cet appel autour de lui, en sensibilisant son entourage, en restant attentif aux besoins qui seront exprimés.
Aujourd’hui, São Vicente souffre, mais São Vicente n’est pas seule. Grâce à notre solidarité, l’espoir peut renaître. Aidons-les à reconstruire. Pour les familles. Pour les enfants. Pour les générations à venir.
Ines Oliveira




